Tin từ Việt Nam

Thứ Hai, 29/12/2025

7:27 am(VN)

-

11:27 am(AU)

dropdown weather

Đang hiển thị

Thành phố khác

Rao vặt
VN EN

Tin từ Việt Nam

Các nhà máy tại các trung tâm xuất khẩu Việt Nam đối mặt với nhiều tuần gián đoạn sau bão Yagi

12/09/2024
Bão Yagi đã gây thiệt hại nghiêm trọng cho nhiều nhà máy và làm ngập các nhà kho tại các trung tâm công nghiệp hướng đến xuất khẩu ở miền bắc Việt Nam, và một số nhà máy hiện đóng cửa dự kiến sẽ mất nhiều tuần để hoạt động trở lại bình thường, các giám đốc điều hành cho biết.

Bão Yagi suy yếu sau khi làm hàng chục người chết ở Việt Nam, Trung Quốc và Philippines

09/09/2024
Bão Yagi, cơn bão mạnh nhất châu Á trong năm nay, đã suy yếu thành áp thấp nhiệt đới hôm 8/9, sau khi tàn phá miền bắc Việt Nam, đảo Hải Nam của Trung Quốc và Philippines, cướp đi sinh mạng của hàng chục người, theo các báo cáo sơ bộ.

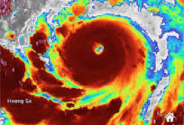
Siêu bão Yagi hướng đến Việt Nam sau khi càn quét qua Hải Nam, Trung Quốc

07/09/2024
Siêu bão Yagi, cơn bão mạnh nhất châu Á trong năm nay, di chuyển về phía bờ biển miền bắc Việt Nam hôm thứ Bảy 7/9 sau khi càn quét qua tỉnh đảo Hải Nam, phía nam Trung Quốc, với sấm sét, mưa và gió mạnh.

Đối phó với tỷ lệ sinh giảm Bộ Y tế Việt Nam đề xuất không giới hạn số con của mỗi cặp vợ chồng

07/08/2024
Bộ Y tế Việt Nam tổ chức một hội thảo hôm 6/8 ở Hà Nội để thu nhận những lời góp ý nhằm hoàn thiện dự luật về dân số mà bộ đề nghị cần được ban hành, hai báo Thanh Niên và Pháp Luật Thành Phố Hồ Chí Minh đưa tin. Khi được ban hành, luật mới sẽ thay thế pháp lệnh về dân số hiện hành của Việt Nam.

Đa số người Mỹ gốc Việt có thiện cảm với Việt Nam và Hoa Kỳ

07/08/2024
Tính đến năm 2022, có hơn 2 triệu người Mỹ gốc Việt sống ở Hoa Kỳ và chiếm 8% dân số người Mỹ gốc Á của quốc gia, theo dữ liệu từ Cục Thống kê Dân số tức US Census Bureau, Trung tâm Nghiên cứu Pew có trụ sở ở thủ đô Washington cho biết trong bài đăng trên trang web của họ hôm 6/8.

Bắt "shipper" cướp giật tài sản của du khách Australia

05/08/2024
Dương Đức Trường bị bắt sau khoảng 2 giờ gây án, cướp giật tài sản của 2 du khách Australia ở TP Hạ Long, Quảng Ninh.

Khởi tố hai anh em ruột tổ chức cho người đi Australia bất hợp pháp

05/08/2024
Ngày 4-8, Cơ quan An ninh điều tra (Công an thành phố Hà Nội) cho biết, đã hoàn tất điều tra, truy tố hai anh em ruột Vương Sỹ Thắng (sinh năm 1989; ở xã Cộng Hòa, huyện Quốc Oai, Hà Nội) và Vương Sỹ Tiến (sinh năm 1987; ở phường Cổ Nhuế 2, quận Bắc Từ Liêm, Hà Nội) về tội 'Tổ chức cho người khác trốn đi nước ngoài'.

VIDEO

Chả Chìa Hạ Lũng - Món ngon đất Cảng

Khám phá Thanh Hư Động, Hải Dương

Độc đáo làn điệu hát Dậm Quyển Sơn, Hà Nam

Tinh hoa y học dân tộc Việt

Khám phá bánh xe nước của người Mường, Hoà Bình

Sơn Trà tịnh viên Đà Nẵng

Khám phá nhà hát cổ xưa nhất Việt Nam

Bảo vật triều Nguyễn - Những bước đường lưu lạc

Những dấu tích còn lại trên thương cảng cổ nhất Việt Nam

PODCATS

Mười công việc lương cao nhất tại Úc

Mẹo tiết kiệm chi phí thực phẩm tại Úc

Cách thi bằng lái xe Úc

4 cách tiết kiệm chi phí du học Úc

5 điểm khác biệt cơ bản giữa lái xe ô tô ở Việt Nam và ở Úc

Các chiêu trò phổ biến của dịch vụ di trú dởm

Người Úc đánh bạc nhiều nhất thế giới

15 nghề có mức lương tăng nhanh nhất ở Úc

Hộ chiếu Úc đứng thứ mấy thế giới?

Copyright © 2022 Thời báo Việt Úc. All Rights Reserved

Mail
Zalo
Hotline

Hotline

SMS

Zalo Chat

Fanpage